
ウォーターパーク・シラヤマ内で右岸公園の改修工事および人道橋の橋台と新しい遊具を設置する工事を行います。工事期間中は公園内への立入りができなくなり、既存遊具の利用ができません。
ご不便をおかけいたしますが、ご理解とご協力をお願いいたします。
◆工事期間 令和8年1月8日~3月下旬(予定)
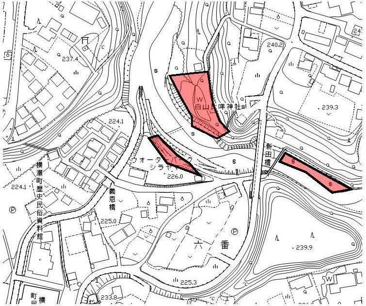
◆工事場所 下図の赤色表示箇所
町では、 下図のウォーターパーク・シラヤマ周辺の河川敷を、河川利用のマナー改善や河川環境美化推進等のため、令和7年7月に埼玉県より河川占用の許可を受けました。
令和8年4月1日よりこの区域では、町が許可をしていない火気の使用(バーベキュー、花火など)、キャンプやそれに類する行為が禁止となります。
☆
・駐車台数:79台【普通車 73台、普通車(障害者)2台、マイクロバス4台】
・駐車場利用時間:8時から18時まで(利用時間外はゲートバーが下がり、車の出入りはできなくなりますのでご注意ください)
・騒音等、近隣住民への迷惑となる行為はおやめください
・駐車場内はスケートボードや球技等禁止します
・埼玉県の条例により駐停車中のアイドリングは禁止されています
・当駐車場での事故・盗難等については一切の責任を負いません
